조황관리HOME / 조황관리 / 상세정보

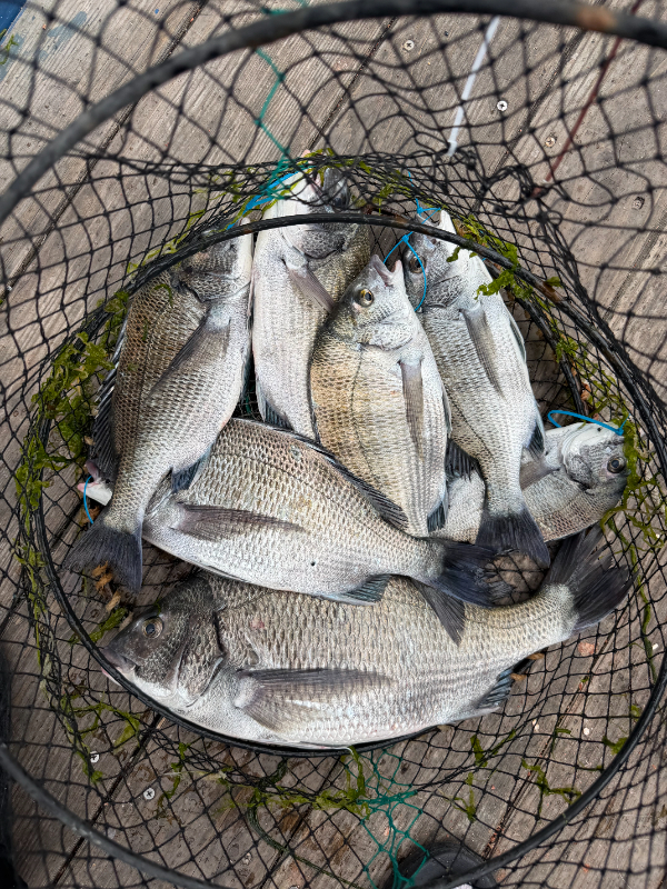
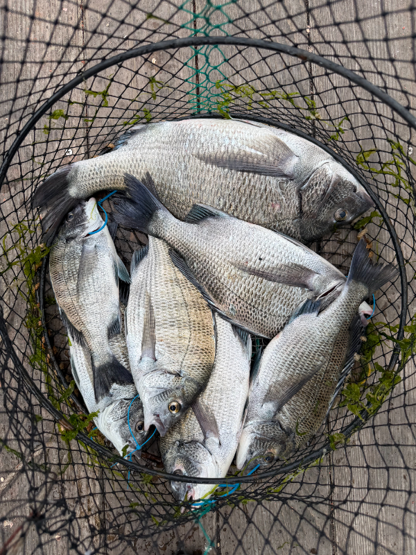
제목 : #목포야타피싱 #13일 #감성돔 #조황!
등록일 : 2026-04-13



























#목포야타피싱 #13일 #감성돔 #조황!
#도다리&간재미 #감성돔 #매일 #출조!


우당은 있는데 우당탕탕이 없어 아쉽네요!

그래도 5짜 감성돔 얼굴본거는 만족하구요!
내일부터 톱머리 조류가 좋아지니 기대해봅니다!
도다리&간재미, 감성돔 매일 출조합니다!


예약문의
010 4030 2943



●도다리&간재미●


선비 7만원(낚시대/채비/점심/간식/컵라면/생수/음료/장갑 무료제공)


미끼 별도(출조점에서 구입가능)


[야타피싱 출조점 주소]
목포시 고하대로 641-40


[야타피싱 배타는 곳 주소]

죽교동 549-23 (보성철물 맞은편 제 4부잔교)

[밴드 주소]
https://band.us/@yatafishing


본 선사는 네이버부킹, 밴드, 유선, 문자, 선상24 등 다양한 루트로 예약을 받는 관계로
선상24 실시간 예약관리가 어려워 남은자리 현황이 맞지 않으니 정확한 남은자리 예약현황은 유선문의 바랍니다!

010 4030 2943
 

모바일.gif 

Top